Dato/klokkeslett: Ons Apr 15, 2026 4:18 am




Opprett et nytt emne Svar på emnet  [ 29 innlegg ]  Gå til side 1, 2  Neste
Forfatter Melding
 Innleggets emne: Fremtidsutsikter til et område å drive RC-aktivitet
InnleggSkrevet: Man Jun 27, 2011 9:44 pm 
r/c Le Royale
r/c Le Royale
Brukerens avatar
Innlegg: 1951
Bosted: Florø
Fekk en telefon fra naboen til stripa på Skaflestad i dag. Han var mindre imponert over RC-aktiviteten som foregikk der inne. Han var både plaget av støy og levde i konstant redsel for at fly skulle ramle ned i hodet på han. Han hadde skrevet et brev til kommunen i dag med kopi til meg. Han var helt klar i sin tale, dette skulle han ha slutt på. Han antydet at neste skritt ville bli annmeldelse av de som holder på.

Skal en planlegge ny stipe, må en ta først finne et område som ikke blir plaget av støy og redsel fra naboer. Mitt tips er å tilslutte seg Sunnfjord RC slik at en kan bruke klubb og de positive samfunnsmessige ringvirkningene de har å ha et organisert miljø. Skal en få beholde stripe og få folk rundt seg til å akseptere at det er noen "ned-sider" med RC-hobby. Dette kan best gjøres ved å fokusere på de potensielle fordelene med hobbyen.

I Sunnfjor RC har en mulighet til å bygge et miljø der en har resussterke voksne og unge i et blandet miljø. Dette skaper en trygg ramme for ungdom og en mulighet for god veiledning. Dette er inngangen for å komme i inngrep med både kommune og samfunnet. Klarer en ikke dette vil trolig fremtiden i denne hobbien begrense seg til små elektromodeller med liten motor.

Jeg har ikke fått bekreftet fra syret i Grovastøylen As at vi får lov å fly der inne, men jeg antar at dette er det mest konkrete området vi har å jobbe med. Jeg jobber opp mot kommune og prøver å etablere et bilde av Sunnfjord RC klubb som et miljø som er for alle og tar hensyn til omgivelsene. Uten å spille på lag med naboer, grunneigere, kommune og samfunn har en tapt muligheten for å drive med forbrenningsmotorer og kraftige el. oppsett.

Jeg oppmoder derfor alle som driver med denne hobbyen om å vise omsyn fremover. Alt negativt fokus vil rive ned "goodwill" i samfunn og kommune til å støtte oss. Vi er inne i en prosess der vi er helt avhengi av positivt fokus.

_________________
Børre Eimhjellen

Litt raskere


Topp
 Avlogget Profil  
 
 Innleggets emne: Re: Fremtidsutsikter til et område å drive RC-aktivitet
InnleggSkrevet: Man Jun 27, 2011 11:19 pm 
RC-Nerden
RC-Nerden
Brukerens avatar
Innlegg: 421
Bosted: Daytona Beach/Førde
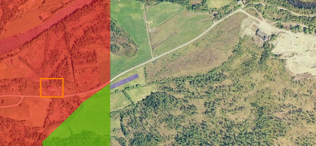
Tok meg den frihet å lage et oversiktskart over korleis flyging på skaflestad bør foregå fremover, dette er bare et forslag fra min side, som også ble diskutert på Søndag.

Fargebeskrivelse:

Blått - flystripa

Rødt - område en ikkje skal fly i under noen omstendigheter

Grønt - område en KAN fly i om en må, men da kun på lavt turtall ved en eventuell innflyging for landing

Gul ramme - Huset til klager

Ellers er det vel stort sett enighet om at fly som flyr på ekstreme turtall(feks elektro med knøttliten propell) bør unngåes da dette høres ekstremt godt. Ikkje å fly store bensinfly skyhøyt oppe på full pine.
Nitrofly og helikopter har han faktisk ikkje hørt mye til etter min erfaring, flydde AT-40 som bråker relativt mye, forrige gang vi fikk klager og den hadde han ikkje hørt noe til, da var det andre ting som fikk han til å klage. Men selvsagt bør en holde seg innen rimlighetens grenser her også.

Men som sagt, dette er bare et forslag fra min side for å holde oss så på godfot med han som mulig uten å måtte slutte å fly.


Vedlegg:
restriksjoner.jpg
restriksjoner.jpg [ 237.15 KiB | Vist 20953 ganger ]

_________________
Morten Bilet-92
Interessert i RC? Besøk #radiostyrt @Efnet eller #rchobby @QuakeNet!
Topp
 Avlogget Profil  
 
 Innleggets emne: Re: Fremtidsutsikter til et område å drive RC-aktivitet
InnleggSkrevet: Man Jun 27, 2011 11:55 pm 
RC-Ingeniøren
RC-Ingeniøren
Brukerens avatar
Innlegg: 776
Bosted: Naustdal
Synes det er merkelig at naboen tok en slik tone til deg på telefon i dag. Bjarte og meg selv oppsøkte karen i går etter flyging og hadde en lang prat med han.
Han hadde forståelse for at vi trengte en plass å fly, men var selvfølgelig utilpass med situasjonen, men var ikkje avvisenede for fremtidig flyging slik jeg skjønte det.
Tonen var god og satte pris på at vi kom for å slå av en prat.

Har god tro på at om vi prøver å holde støyen nede spesielt på søndager, og fly på de områdene som Morten har markert på bildet, og vise hensyn generelt så burde det være mulighet til å fortsette der inne.

_________________
Bjørn G.H.


Topp
 Avlogget Profil  
 
 Innleggets emne: Re: Fremtidsutsikter til et område å drive RC-aktivitet
InnleggSkrevet: Tir Jun 28, 2011 12:39 am 
r/c Le Royale
r/c Le Royale
Brukerens avatar
Innlegg: 9894
Bosted: Florø
Dette var kjipt å høre. Nå som jeg har begynt med stengt søndager noen uker fremover, så dukker slikt opp. Jeg ønsker absolutt ikke å være med på å skape motvilje mot det vi driver på med, så det kan se ut som at jeg må endre flyplanene mine litt for sommeren. Jeg synes forøvrig at illustrasjonen til Hitmanhit var veldig fin, dette var lett å forholde seg til om jeg skulle finne på å ta turen til skaflestad en eller annen søndag. Flotte greier.

Men det kan jo uansett se stygt ut, for i og med at skadelidende tar steget med å sende et brev til kommunen, så viser det nok litt mer om hva vedkommende synes, til tross for om han gir uttrykk for noe annet i en samtale ansikt til ansikt. Dette er bare å ta til etterretning, for problemene med støy på skaflestad kommer nok ikke til å bli mindre med tiden. Det er gjerne en stripe som duger her og nå, for de som bruker den, men det ser ikke ut som at det er noen løsning på sikt, iallefall ikke om det fortsetter slik. Og selv om noen kan vise hensyn og passe på hva som brukes av støyende modeller eller hvor det flyves, så vil det alltids komme noen outsidere som får ting til å blusse opp igjen (les: folk som ikke kjenner til situasjonen, og tror det er fritt frem).

_________________
Kåre Myklebust - Avdelingsleder fly og bil

DRIVE IT LIKE YOU HATE IT!!


Topp
 Avlogget Profil  
 
 Innleggets emne: Re: Fremtidsutsikter til et område å drive RC-aktivitet
InnleggSkrevet: Tir Jun 28, 2011 12:48 am 
RC-Nerden
RC-Nerden
Brukerens avatar
Innlegg: 421
Bosted: Daytona Beach/Førde
Det ble og diskutert å sette opp et skilt for å informere folk som ikkje kjenner til "restriksjonene".
Dette er vel forhåpentligvis gjennomførbart? Evt. få tillattelse av grunneier til å sette opp det?

Likevel er dette av de eneste plassene vi nå har å drive modellflyaktivitet, så noe annet alternativ enn til å forholde oss slik har vi vel neppe.
Øyrane i førde er jo blitt så og si helt uaktuelt...

Siste alternativ må i så tilfelle vere å la være å fly i det hele tatt.
Så syns fortsatt du skal ta turen på Skaflestad i sommer stressballen :D

_________________
Morten Bilet-92
Interessert i RC? Besøk #radiostyrt @Efnet eller #rchobby @QuakeNet!


Topp
 Avlogget Profil  
 
 Innleggets emne: Re: Fremtidsutsikter til et område å drive RC-aktivitet
InnleggSkrevet: Tir Jun 28, 2011 12:53 am 
r/c Le Royale
r/c Le Royale
Brukerens avatar
Innlegg: 1166


Topp
 Avlogget Profil  
 
 Innleggets emne: Re: Fremtidsutsikter til et område å drive RC-aktivitet
InnleggSkrevet: Tir Jun 28, 2011 1:08 am 
r/c Le Royale
r/c Le Royale
Brukerens avatar
Innlegg: 9894
Bosted: Florø
Er det noen som har styrta i hagen til karen som bor ved stripa på skaflestad? Ikke rart han er redd for å få fly i knollen. Da har en lite å stille opp med om det blir videre sak av dette.

Er helt enig med Børre angående Klubbens viktighet og rolle i dette, for en må huske på at det ikke nødvendigvis er hva klubben kan gi oss for den årlige avgiften som er viktig, men heller den posisjonen klubben får lokalt med mange medlemmer i boka. At det koster en liten årlig sum for å være medlem er en liten pris å betale for at klubbkassa legger opp noen kroner som igjen kan brukes til aktiviteter innimellom, men det viktigste er kanskje at oppsparte midler på et tidspunkt kan bli startkapital for noe stort. Og om det skulle stå på krona, så er mitt bidrag å gi noen prosenter på rc-utstyr til klubbmedlemmer. På den måten får medlemmene gjerne noen kroner tilbake i form av rabatt i løpet av året, som kanskje kan mildne den årlige kontigenten litt. Personlig synes jeg at alle som kan/vil burde ha meldt seg inn i klubben. Det er på denne måten jeg tenker at vi må se det store bildet, vi vil ikke umiddelbart få noe tilbake for klubbkontigenten, men heller på sikt. Tviler på at det finnes noen rask løsning på problemene som rc-entusiastene står ovenfor.

EDIT: Jeg har nå endret omformulert meg littegrann på overstående innlegg.

Jeg skal se om jeg får laga en eller annen slags banner som jeg kan ha hengende i sjappa, som oppfordrer til innmelding i klubben, og et infoskriv som forklarer viktigheten av dette.

_________________
Kåre Myklebust - Avdelingsleder fly og bil

DRIVE IT LIKE YOU HATE IT!!


Sist endret av stressballen den Fre Jul 01, 2011 7:00 pm, endret 1 gang

Topp
 Avlogget Profil  
 
 Innleggets emne: Re: Fremtidsutsikter til et område å drive RC-aktivitet
InnleggSkrevet: Tir Jun 28, 2011 2:48 am 
r/c Le Royale
r/c Le Royale
Brukerens avatar
Innlegg: 1865
Bosted: Florø
Bare et lite sidesprang i denne diskusjonen. Jeg ser overskriften på denne tråden er område til å drive RC-aktivitet, men så langt er det kun snakk om flyging så vidt jeg kan se. Er det med i planene noe for de som driver med bil, enten TC eller buggy?

Kan det være aktuelt for klubben å innlede samarbeid med motorsport klubben for å prøve å få til et felles område for all slik bråkete aktivitet? Det å kjøre på for å få til noe alene her i Florø tror jeg kan være en lang prosess om man ser på hvor lang tid andre har stått på uten å få til noe.

_________________
Thomas Stenbakk - Avdelingsleder båt


Topp
 Avlogget Profil  
 
 Innleggets emne: Re: Fremtidsutsikter til et område å drive RC-aktivitet
InnleggSkrevet: Tir Jun 28, 2011 12:05 pm 
r/c Le Royale
r/c Le Royale
Brukerens avatar
Innlegg: 1951
Bosted: Florø
Vi er i dialog med Motorsportklubben. Denne dialogen har pågått en del tid. Men det er de som har det største arealbehovet og har kontakten med kommune. Men dette anlegget har en lang tidshorisont.

Det som er nærmest tidsmessig er anlegget på Grovastøylen As. Der holder de på med anleggsvirksomheten.

_________________
Børre Eimhjellen

Litt raskere


Topp
 Avlogget Profil  
 
 Innleggets emne: Re: Fremtidsutsikter til et område å drive RC-aktivitet
InnleggSkrevet: Tir Jun 28, 2011 1:00 pm 
r/c Le Royale
r/c Le Royale
Brukerens avatar
Innlegg: 1865
Bosted: Florø
Tidshorisonten på Motorsportklubbens planer kan raskt endre seg nå med Statskog sine planer om salg av areale. Hadde vert flott om det ble laget en liten sak på klubbens hjemmeside som sa litt om hvor i løypa klubben ligger mtp å få til egnede områder til forskjellige typer aktiviteter.

Har dere foresten vert inne på tanken om å bruke gamle rullebana i Haukåa som gamle Florø RC Klubb brukte?

_________________
Thomas Stenbakk - Avdelingsleder båt


Topp
 Avlogget Profil  
 
 Innleggets emne: Re: Fremtidsutsikter til et område å drive RC-aktivitet
InnleggSkrevet: Tir Jun 28, 2011 6:29 pm 
RC-Nerden
RC-Nerden
Brukerens avatar
Innlegg: 421
Bosted: Daytona Beach/Førde
Kom forøverig nettop på en plass som MULIGENS kan vere verdt å ta en titt på og evt forhøre seg med grunneiger om muligheter for å leige plass til flystripe.

Ca 5 min før Stavang er det en plass som heiter Skjeljevika. Der er det to gressletter.
Den eine med strømlinje rett over, men den andre skal vere relativt fri, dog munner den ut mot havet.

Kan dette være verdt en titt?

http://www.google.com/maps?hl=no&ll=61. ... 56,,0,4.76

_________________
Morten Bilet-92
Interessert i RC? Besøk #radiostyrt @Efnet eller #rchobby @QuakeNet!


Topp
 Avlogget Profil  
 
 Innleggets emne: Re: Fremtidsutsikter til et område å drive RC-aktivitet
InnleggSkrevet: Tir Jun 28, 2011 8:06 pm 
r/c Le Royale
r/c Le Royale
Brukerens avatar
Innlegg: 1951
Bosted: Florø
Jeg har fått kopi av brevet som vart sendt til rådmannen i Naustdal kommune. Medlemmer av Sunnfjord RC-klubb kan sende meg ønske om innsyn i brevet på e-mail bebht@online.no og jeg kan sende en kopi. Medlemmer kan få innsyn siden klubben er blitt innblandet og dette angår alle medlemmer og har betyding for hvor og hvordan vi kan utøve hobbyen i fremtiden.

_________________
Børre Eimhjellen

Litt raskere


Topp
 Avlogget Profil  
 
 Innleggets emne: Re: Fremtidsutsikter til et område å drive RC-aktivitet
InnleggSkrevet: Fre Jul 01, 2011 5:54 pm 
Nikko-batteriet tomt.... Prøve noe nytt?
Nikko-batteriet tomt.... Prøve noe nytt?
Innlegg: 19
Bosted: Førde
Eg er ikkje medlem av Sunnfjord RC. Så etter det som stressballen sier, så er eg nok ein av dei som ikkje ser det store bildet!
Kanskje det er fleire av oss ??

_________________
Bjarte
Førde


Topp
 Avlogget Profil  
 
 Innleggets emne: Re: Fremtidsutsikter til et område å drive RC-aktivitet
InnleggSkrevet: Fre Jul 01, 2011 6:16 pm 
r/c Le Royale
r/c Le Royale
Brukerens avatar
Innlegg: 9894
Bosted: Florø

_________________
Kåre Myklebust - Avdelingsleder fly og bil

DRIVE IT LIKE YOU HATE IT!!


Topp
 Avlogget Profil  
 
 Innleggets emne: Re: Fremtidsutsikter til et område å drive RC-aktivitet
InnleggSkrevet: Fre Jul 01, 2011 6:52 pm 
Nikko-batteriet tomt.... Prøve noe nytt?
Nikko-batteriet tomt.... Prøve noe nytt?
Innlegg: 11
Eg er heller ikkje medlem, og støtter fullstendig BjarteI sin kommentar til Stressballen. -Dette er hobby for liten og stor totalt uavhengig av at ein må melde seg inn i SunnfjordRC.
Når det gjeld Skaflestad er dette eit omeråde som Bjarte og Bjørn skal ha full honnør for,-likeeins det engasjement og vilje dei har synt alle oss som flyr der.
-Spør dei om vi er medlemmer eller vil betale? Aldri.

Når det er sagt er det ikkje av økonomiske hensyn eg ikkje har meldt meg inn i SunnfjordRC.


Mvh
OGB


Topp
 Avlogget Profil  
 
Vis innlegg fra forrige:  Sorter etter  
Opprett et nytt emne Svar på emnet  [ 29 innlegg ]  Gå til side 1, 2  Neste

Tidssone UTC + 1 time [ DST ]


Hvem er i forumet

Brukere som leser i dette forumet: Ingen registrerte brukere og 2 gjester


Du kan ikke opprette nye emner i dette forumet
Du kan ikke skrive innlegg i dette forumet
Du kan ikke redigere dine egne innlegg i dette forumet
Du kan ikke slette dine egne innlegg i dette forumet
Du kan ikke laste opp vedlegg til dette forumet

Søk etter:
Gå til forum:  
cron

Sunnfjord RC